
賃料 |
16.5万円 |
共益費/管理費 |
- |
---|---|---|---|
所在地 |
尼崎市久々知2丁目 |
号室 |
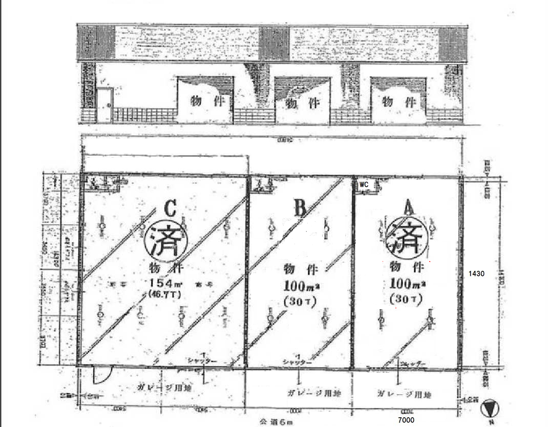
B |
面積 |
100m²(30.25坪) |
坪単価 |
5,454円 |
敷金 |
- |
礼金 |
33万円 |
保証金 |
20万円 |
敷引_償却 |
- |
建物構造 |
鉄骨造 |
階迄/階 |
1階~1階迄/1階建 |
築年月 |
1981/07(築44年) |
交通 |
JR福知山線塚口まで 徒歩10分
兵庫県尼崎市 |
お電話でのお問い合わせ
物件番号:47626
お電話でお問い合わせの際は、物件番号をお伝えください。
0120-68-6180
営業時間:10:00AM - 7:00PM
定休日:毎週土日
ポイント
POINT
家賃保証加入要、トイレ専用、諸条件相談可、駐車場あり(前面スペース)、業種相談、現状渡し 準工業地域、本物件は作業可能物件ですが近隣に住宅があるため職種等によりご利用いただけない場合がございます。
物件詳細DETAIL
現況 |
賃貸中 |
引渡時期 |
2025/11 中旬 |
---|---|---|---|
保険等 |
要 |
保証会社 |
|
契約期間 |
2年 |
更新料 |
|
取引態様 |
仲介 |
仲介手数料 |
1ヶ月 |
諸費用 |
駐車場 |
3台可 |
|
情報更新日 |
2025年10月17日 |
次回更新予定日 |
2025年10月18日 |
※掲載されている物件データが現状と異なる場合は現状を優先します。
周辺地図MAP

株式会社ハウスゲートCOMPANY
所在地 |
大阪府枚方市岡南町11-19 ハウスゲートビル2F |
||
---|---|---|---|
免許番号 |
大阪府知事免許(5)第48737号 |
||
会員 |
(公社)全日本不動産協会
(公社)不動産保証協会
(公社)近畿圏不動産流通機構
|
||
電話番号 |
0120-68-6180 |
FAX番号 |
072-845-5399 |
営業時間 |
10:00AM - 7:00PM |
定休日 |
毎週土日 |